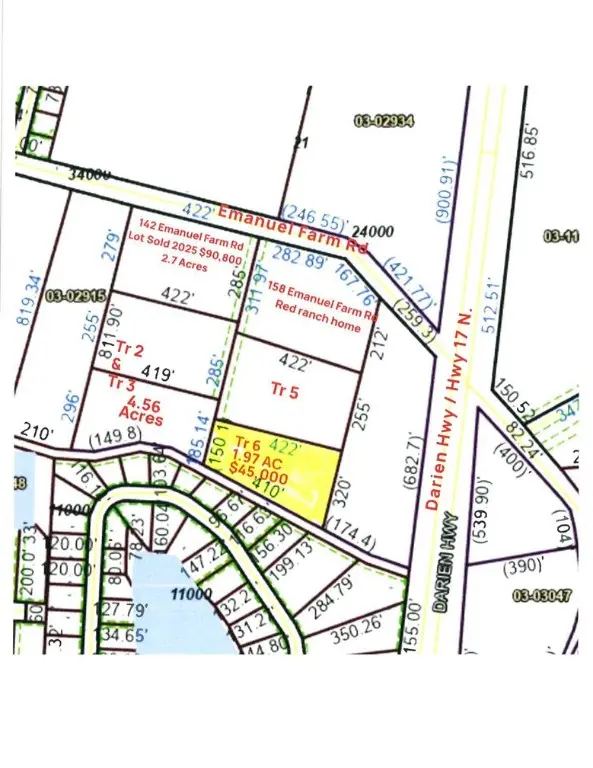
Tr 6 Emanuel Farm Road, Brunswick, GA

$45,000

Previous Next

1.97

Acres

About Tr 6 Emanuel Farm Road

This tract of land is ideal for stand-alone use or can be combined with neighboring parcels to increase acreage. The property borders serene marshland on one side, Palm Lake Subdivision along the rear, and raw undeveloped acreage on the remaining sides. Access is provided by deeded easement. Additional lots are also available for purchase. Access easement is unimproved and will be the responsibility of the purchaser to clear and establish in conjunction with site development of their lot.

Features of Tr 6 Emanuel Farm Road

MLS® # 1644659
Price $45,000
Acres 1.97
Type Land
Sub-Type Unimproved Land
Status Active

Community Information

Address Tr 6 Emanuel Farm Road
Area G1: Central Glynn County
Subdivision No Recorded Subdivision
City Brunswick
County Glynn
State GA
Zip Code 31525

Amenities

Is Waterfront No
Has Pool No

Interior

Fireplace No

Exterior

Lot Description ,,,

School Information

Elementary Altama
Middle Needwood Middle
High Brunswick High School

Additional Information

Date Listed February 6th, 2024
Days on Market 613

Listing Details

AgentStephanie Webb
OfficeBHHS Hodnett Cooper Real Estate BWK

Listing Map

Request a Showing

Provide a valid email address.
When would you like to view this property?